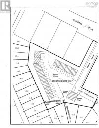
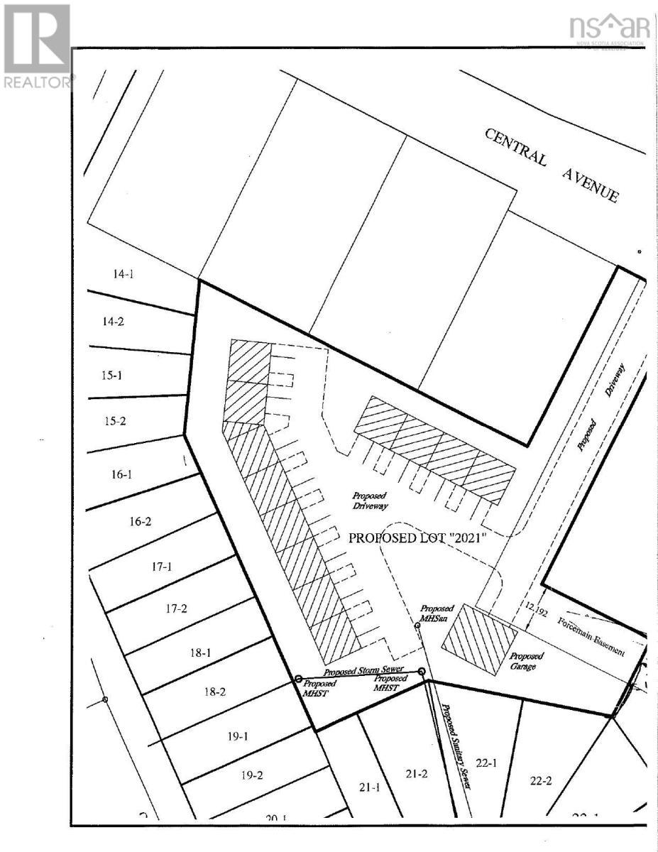
Lot 2021 Central Ave
Offered at: $350,000
MLS®: 202601843
Prime development opportunity, located in the heart of growing Greenwood! 1.97 acres of level land with frontage on busy Central Ave. This property is directly across from the shopping mall and is within walking distance to Atlantic Canadas largest Airforce base. Easy access to municipal water & sewer connections roadside, and sandy soil makes for easy excavation. Proposed development plan for 12 rental units and auxiliary storage building on file. The Annapolis Valley is a popular destination in Nova Scotia, and this is the perfect lot to expand your investment portfolio! (id:6769)
Quick Stats
Key Home Data
0
BATH(S)
BED(S)
Contact for
SQFT
YES
SHOWING AVAILABLE
Property Type:
Vacant Land Home Ownership:
Freehold
Payment Calculator
Calculate your monthly mortgage payment.
Mortgage Amount
$
Amortization
years
Payment Freq.
Interest Rate
%
Calculating...
All About the Details
See specific details below.
Neighbourhood Statistics
Get to know your neighbourhood.

