212 Rock Cut Rd Road
Offered at: $269,000
MLS®: 10339192
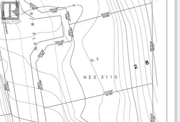
Welcome to Granite Ridge, an exclusive new subdivision steps from world-class skiing at Red Mountain Resort! This premier location offers the best of both worlds—secluded in the trees yet just minutes from town. Whether you're envisioning your dream mountain home or the perfect vacation retreat, this lot is ready to bring your vision to life with a licensed builder on hand to assist. Featuring underground services and a mostly level building site, construction is a breeze. The flexible zoning allows for single-family homes, multi-family residences, secondary suites, and short-term rentals, making this an incredible investment opportunity. But it's not just about the home—it’s about the lifestyle. With ski-in access just across the road, you’ll be carving fresh tracks at Red Mountain in minutes. When the snow melts, enjoy world-class mountain biking trails, scenic hiking routes, and endless outdoor adventure right from your doorstep. Cross-country skiing, snowshoeing, and backcountry exploration are also at your fingertips. Opportunities like this don’t last—secure your slice of mountain paradise today! (Photos are of the lot and surrounding area. Please refer to the subdivision plan for lot size and shape.) (id:6769)
Quick Stats
Key Home Data
0
BATH(S)
BED(S)
Contact for
SQFT
YES
SHOWING AVAILABLE
Property Type:
Vacant Land Home Ownership:
Bare Land Condo/Strata
Payment Calculator
Calculate your monthly mortgage payment.
Mortgage Amount
$
Amortization
years
Payment Freq.
Interest Rate
%
Calculating...
All About the Details
See specific details below.
Neighbourhood Statistics
Get to know your neighbourhood.

