13940 Ponderosa Way
Offered at: $2,099,000
MLS®: 10375069
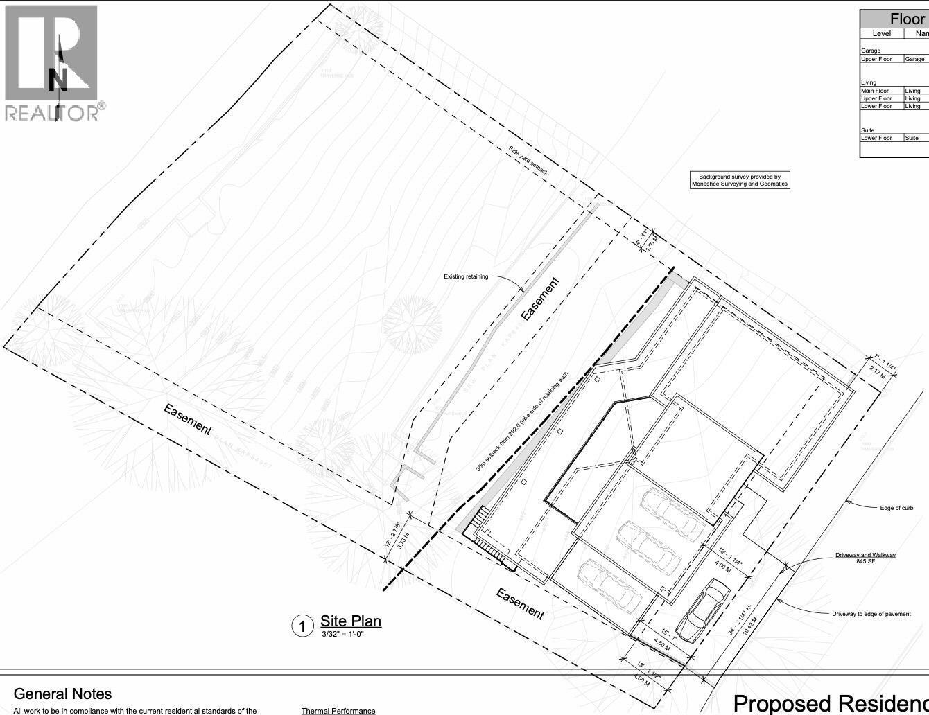
Incredible opportunity to own 115 feet of Kalamalka Lakefront in the sought-after Long Lake Estates subdivision, just down the street from mountain biking and hiking at Kal Park. Location cannot be any better! This almost half-acre lot offers the best of both worlds: beautiful lake and valley views from your future home, plus the added value of your dock-ready waterfront on the pristine shores of the ‘lake of many colours.’ A custom designed steel stud, non combustible 4993 sq.’ home with a 660 sq.’ suite plus 3 car garage and spacious 655 sq.’ of deck has been specifically designed for this lot to optimize this amazing lot and take in the surreal surroundings. All of the riparian, geotechnical and pre-construction requirements as well as full building permit ready plans have been completed and are transferable, and the legal dock is ready to be rebuilt. Make it your own today and start building this dream home this year! Builder in place ! (id:6769)
Quick Stats
Key Home Data
0
BATH(S)
BED(S)
Contact for
SQFT
YES
SHOWING AVAILABLE
Property Type:
Vacant Land Home Ownership:
Freehold
Payment Calculator
Calculate your monthly mortgage payment.
Mortgage Amount
$
Amortization
years
Payment Freq.
Interest Rate
%
Calculating...
All About the Details
See specific details below.
Neighbourhood Statistics
Get to know your neighbourhood.

